New Homes » Kanto » Kanagawa Prefecture » Ashigarakami
 
| | Kanagawa Prefecture ashigarakami Nakai-cho 神奈川県足柄上郡中井町 |
| Odawara Line Odakyu "Hatano" bus 11 minutes Kitakubo entrance walk 2 minutes 小田急小田原線「秦野」バス11分北窪入口歩2分 |
| ■ We're happy to household solar power system installation housing! ■ Odakyu line ・ You can 2 stops use of the Tokaido Line! ■ Effortlessly outing, Tomei Hatano is Nakai IC near! ■ Completed soon! Preview is being accepted! ■家計にうれしい太陽光発電システム設置住宅!■小田急線・東海道線の2駅利用できます!■お出かけも楽々、東名秦野中井IC近くです!■間もなく完成!内見受付中です! |
| ◆ ◇ ◆ ◇ or rent, Or to own real estate, Let's compared to the funds plan! ◇ ◆ ◇ ◆ ◆ ◇ ◆ ◇ guidance ・ Please apply at feel free to e-mail fund plan. ◇ ◆ ◇ ◆ ◆◇◆◇賃貸か、不動産を所有するか、資金計画をして比べてみましょう!◇◆◇◆◆◇◆◇ご案内・資金計画はお気軽にメールにてお申し込みください。 ◇◆◇◆ |
Features pickup 特徴ピックアップ | | Solar power system / Parking two Allowed / 2 along the line more accessible / Energy-saving water heaters / Facing south / System kitchen / Bathroom Dryer / All room storage / Japanese-style room / Washbasin with shower / Face-to-face kitchen / Barrier-free / Toilet 2 places / 2-story / Double-glazing / Zenshitsuminami direction / Warm water washing toilet seat / Nantei / Underfloor Storage / TV monitor interphone / Walk-in closet / Water filter 太陽光発電システム /駐車2台可 /2沿線以上利用可 /省エネ給湯器 /南向き /システムキッチン /浴室乾燥機 /全居室収納 /和室 /シャワー付洗面台 /対面式キッチン /バリアフリー /トイレ2ヶ所 /2階建 /複層ガラス /全室南向き /温水洗浄便座 /南庭 /床下収納 /TVモニタ付インターホン /ウォークインクロゼット /浄水器 | Price 価格 | | 17.8 million yen ~ 21,800,000 yen 1780万円 ~ 2180万円 | Floor plan 間取り | | 4LDK ~ 4LDK + S (closet) 1 Building a walk-in 4LDK ~ 4LDK+S(納戸)1号棟ウォークイン | Units sold 販売戸数 | | 3 units 3戸 | Total units 総戸数 | | 3 units 3戸 | Land area 土地面積 | | 128.87 sq m ~ 140.48 sq m 128.87m2 ~ 140.48m2 | Building area 建物面積 | | 91.93 sq m ~ 92.74 sq m 91.93m2 ~ 92.74m2 | Completion date 完成時期(築年月) | | In late August 2013 2013年8月下旬 | Address 住所 | | Kanagawa Prefecture ashigarakami Nakai-cho, Inokuchi 1548-13 神奈川県足柄上郡中井町井ノ口1548-13 | Traffic 交通 | | Odawara Line Odakyu "Hatano" bus 11 minutes Kitakubo entrance walk 2 minutes JR Tokaido Line "Ninomiya" bus 16 minutes Kitakubo walk 2 minutes 小田急小田原線「秦野」バス11分北窪入口歩2分 JR東海道本線「二宮」バス16分北窪歩2分
| Person in charge 担当者より | | The person in charge Sato Hironobu Age: engaged 15 years in the 40's real estate, So we have experienced the bad times when good economic, Property of the good or bad ・ Mortgage, etc., I think that it is a variety of advice. Please feel free to ask. To achieve the dream of form. 担当者 佐藤 博信年齢:40代不動産に15年携わり、景気の良い時悪い時を経験しておりますので、物件の良し悪し・住宅ローンなど、様々なアドバイスが出来ると思います。お気軽にお尋ね下さい。夢の形を実現します。 | Contact お問い合せ先 | | TEL: 0800-809-8568 [Toll free] mobile phone ・ Also available from PHS Caller ID is not notified Please contact the "saw SUUMO (Sumo)" If it does not lead, If the real estate company TEL:0800-809-8568【通話料無料】携帯電話・PHSからもご利用いただけます 発信者番号は通知されません 「SUUMO(スーモ)を見た」と問い合わせください つながらない方、不動産会社の方は
| Time residents 入居時期 | | 1 month after the contract 契約後1ヶ月 | Land of the right form 土地の権利形態 | | Ownership 所有権 | Use district 用途地域 | | One middle and high 1種中高 | Overview and notices その他概要・特記事項 | | Contact Person Sato Hironobu, Building confirmation number: No. H25SHC106883 ~ 106,885 No. 担当者: 佐藤 博信、建築確認番号:第H25SHC106883号 ~ 106885号 | Company profile 会社概要 | | <Mediation> Kanagawa Governor (2) No. 026848 (Corporation) All Japan Real Estate Association (Corporation) metropolitan area real estate Fair Trade Council member Century 21 (Ltd.) Hilo Corporation Yubinbango243-0432 Ebina, Kanagawa Prefecture center 2-9-1 <仲介>神奈川県知事(2)第026848号(公社)全日本不動産協会会員 (公社)首都圏不動産公正取引協議会加盟センチュリー21(株)ヒロコーポレーション〒243-0432 神奈川県海老名市中央2-9-1 |
 Local appearance photo
現地外観写真
 Local appearance photo
現地外観写真
Floor plan間取り図  (1 Building), Price 19,800,000 yen, 4LDK+S, Land area 140.41 sq m , Building area 91.93 sq m
(1号棟)、価格1980万円、4LDK+S、土地面積140.41m2、建物面積91.93m2
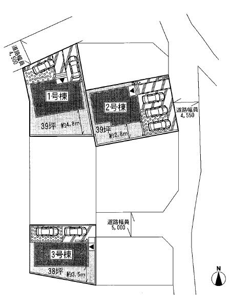
The entire compartment Figure全体区画図  site 38.98 square meters ~ 42.49 square meters.
敷地 38.98坪 ~ 42.49坪。
Floor plan間取り図  (Building 2), Price 21,800,000 yen, 4LDK, Land area 140.48 sq m , Building area 92.34 sq m
(2号棟)、価格2180万円、4LDK、土地面積140.48m2、建物面積92.34m2
 (3 Building), Price 17.8 million yen, 4LDK, Land area 128.87 sq m , Building area 92.74 sq m
(3号棟)、価格1780万円、4LDK、土地面積128.87m2、建物面積92.74m2
Location
|