New Homes » Kanto » Kanagawa Prefecture » Chigasaki
 
| | Chigasaki, Kanagawa Prefecture 神奈川県茅ヶ崎市 |
| JR Tokaido Line "Chigasaki" walk 23 minutes JR東海道本線「茅ヶ崎」歩23分 |
| Chigasaki Higashikaiganminami! New construction Ichinohe TateAkira 18 buildings! Building completed! All building car space two Allowed! Anytime you can visit. Contact is ahead of us 茅ヶ崎市東海岸南!新築一戸建全18棟!建物完成です!全棟カースペース2台可!いつでも見学可能です。お問い合わせはお早目に |
| Chigasaki Higashikaiganminami! New construction Ichinohe TateAkira 18 buildings! Building completed! All building car space two Allowed! Anytime you can visit. Contact is ahead of us 茅ヶ崎市東海岸南!新築一戸建全18棟!建物完成です!全棟カースペース2台可!いつでも見学可能です。お問い合わせはお早目に |
Features pickup 特徴ピックアップ | | Pre-ground survey / Year Available / Parking two Allowed / 2 along the line more accessible / LDK20 tatami mats or more / Within 2km to the sea / Facing south / System kitchen / Bathroom Dryer / Yang per good / All room storage / Flat to the station / A quiet residential area / Around traffic fewer / Corner lot / Japanese-style room / Starting station / Shaping land / Washbasin with shower / Face-to-face kitchen / Wide balcony / Toilet 2 places / Bathroom 1 tsubo or more / 2-story / South balcony / Double-glazing / Zenshitsuminami direction / TV with bathroom / Underfloor Storage / The window in the bathroom / TV monitor interphone / Leafy residential area / Ventilation good / Dish washing dryer / Walk-in closet / Water filter / Living stairs / City gas / Storeroom / Flat terrain / Attic storage / Development subdivision in 地盤調査済 /年内入居可 /駐車2台可 /2沿線以上利用可 /LDK20畳以上 /海まで2km以内 /南向き /システムキッチン /浴室乾燥機 /陽当り良好 /全居室収納 /駅まで平坦 /閑静な住宅地 /周辺交通量少なめ /角地 /和室 /始発駅 /整形地 /シャワー付洗面台 /対面式キッチン /ワイドバルコニー /トイレ2ヶ所 /浴室1坪以上 /2階建 /南面バルコニー /複層ガラス /全室南向き /TV付浴室 /床下収納 /浴室に窓 /TVモニタ付インターホン /緑豊かな住宅地 /通風良好 /食器洗乾燥機 /ウォークインクロゼット /浄水器 /リビング階段 /都市ガス /納戸 /平坦地 /屋根裏収納 /開発分譲地内 | Price 価格 | | 39,900,000 yen 3990万円 | Floor plan 間取り | | 3LDK + S (storeroom) 3LDK+S(納戸) | Units sold 販売戸数 | | 1 units 1戸 | Total units 総戸数 | | 18 units 18戸 | Land area 土地面積 | | 109.14 sq m (33.01 tsubo) (Registration) 109.14m2(33.01坪)(登記) | Building area 建物面積 | | 101.02 sq m (30.55 tsubo) (Registration) 101.02m2(30.55坪)(登記) | Completion date 完成時期(築年月) | | 2013 mid-April 2013年4月中旬 | Address 住所 | | Chigasaki, Kanagawa Prefecture Higashikaiganminami 6-1 神奈川県茅ヶ崎市東海岸南6-1 | Traffic 交通 | | JR Tokaido Line "Chigasaki" walk 23 minutes JR Sagami Line "Chigasaki" walk 23 minutes JR東海道本線「茅ヶ崎」歩23分 JR相模線「茅ヶ崎」歩23分
| Person in charge 担当者より | | The person in charge Inoue Hee 予門 Age: 30 Daigyokai experience: I was born and raised in the 10 years Kugenumakaigan. Also I think that if you can tell honestly including Shonan good place and a bad place of. seriously, We are honestly to help customers. First, please feel free to contact. 担当者井上 喜予門年齢:30代業界経験:10年鵠沼海岸で生まれ育ちました。 湘南の良い所と悪い所も含め正直にお伝え出来ればと思っています。 真剣に、正直にお客様のお手伝いをさせて頂いております。 まずはお気軽にご連絡下さい。 | Contact お問い合せ先 | | TEL: 0800-603-0246 [Toll free] mobile phone ・ Also available from PHS Caller ID is not notified Please contact the "saw SUUMO (Sumo)" If it does not lead, If the real estate company TEL:0800-603-0246【通話料無料】携帯電話・PHSからもご利用いただけます 発信者番号は通知されません 「SUUMO(スーモ)を見た」と問い合わせください つながらない方、不動産会社の方は
| Most price range 最多価格帯 | | 40 million yen ・ 36 million yen (each 16 units) 4000万円台・3600万円台(各16戸) | Building coverage, floor area ratio 建ぺい率・容積率 | | Kenpei rate: 50%, Volume ratio: 100% 建ペい率:50%、容積率:100% | Time residents 入居時期 | | Consultation 相談 | Land of the right form 土地の権利形態 | | Ownership 所有権 | Structure and method of construction 構造・工法 | | Wooden 2-story 木造2階建 | Use district 用途地域 | | One low-rise 1種低層 | Land category 地目 | | Residential land 宅地 | Other limitations その他制限事項 | | Regulations have by the Landscape Act, Quasi-fire zones, Development inspected number / 24 KayaHirakushin No. 235, H24.9.6 景観法による規制有、準防火地域、開発検査済番号/24茅開審第235号、H24.9.6 | Overview and notices その他概要・特記事項 | | Contact: Inoue Hee 予門, Building confirmation number: H24 confirmation architecture KBI04220 issue other, ※ Garbage yard equity Yes. 2.58 sq m equity each 1 / 18 3.00 sq m equity each 1 / 18 担当者:井上 喜予門、建築確認番号:H24確認建築KBI04220号他、※ゴミ置場持分有。2.58m2持分各1/18 3.00m2持分各1/18 | Company profile 会社概要 | | <Mediation> Governor of Kanagawa Prefecture (10) No. 009580 (one company) Property distribution management Association (Corporation) metropolitan area real estate Fair Trade Council member Meiji Estate Co., housing Plaza store Yubinbango253-0044 Chigasaki, Kanagawa Prefecture Shinsakae-cho 8-7 <仲介>神奈川県知事(10)第009580号(一社)不動産流通経営協会会員 (公社)首都圏不動産公正取引協議会加盟明治地所(株)ハウジングプラザ店〒253-0044 神奈川県茅ヶ崎市新栄町8-7 |
Local appearance photo現地外観写真  Local (March 2013) Shooting
現地(2013年3月)撮影
Kitchenキッチン  Indoor (March 2013) Shooting
室内(2013年3月)撮影
Livingリビング  Indoor (March 2013) Shooting
室内(2013年3月)撮影
Floor plan間取り図  ((2) Building), Price 40,800,000 yen, 4LDK, Land area 111.04 sq m , Building area 100.19 sq m
((2)号棟)、価格4080万円、4LDK、土地面積111.04m2、建物面積100.19m2
Local appearance photo現地外観写真  Local (March 2013) Shooting
現地(2013年3月)撮影
Livingリビング  Indoor (March 2013) Shooting
室内(2013年3月)撮影
Bathroom浴室  Indoor (March 2013) Shooting
室内(2013年3月)撮影
Non-living roomリビング以外の居室  Indoor (March 2013) Shooting
室内(2013年3月)撮影
Entrance玄関  Local (March 2013) Shooting
現地(2013年3月)撮影
Receipt収納  Indoor (March 2013) Shooting
室内(2013年3月)撮影
Local photos, including front road前面道路含む現地写真  Local (March 2013) Shooting
現地(2013年3月)撮影
Balconyバルコニー  Local (March 2013) Shooting
現地(2013年3月)撮影
Otherその他  shower
シャワー
Floor plan間取り図  ((3) Building), Price 42 million yen, 4LDK, Land area 111.01 sq m , Building area 100.2 sq m
((3)号棟)、価格4200万円、4LDK、土地面積111.01m2、建物面積100.2m2
Local appearance photo現地外観写真  Local (March 2013) Shooting
現地(2013年3月)撮影
Livingリビング  Indoor (March 2013) Shooting
室内(2013年3月)撮影
Otherその他  Attic storage
小屋裏収納
Floor plan間取り図  ((4) Building), Price 40,800,000 yen, 4LDK, Land area 110 sq m , Building area 100.19 sq m
((4)号棟)、価格4080万円、4LDK、土地面積110m2、建物面積100.19m2
Local appearance photo現地外観写真  Local (March 2013) Shooting
現地(2013年3月)撮影
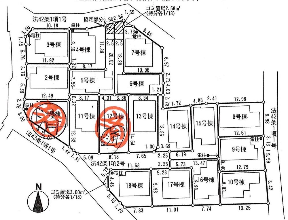
Otherその他  layout drawing
配置図
Floor plan間取り図  ((5) Building), Price 36,300,000 yen, 4LDK, Land area 125.02 sq m , Building area 100.19 sq m
((5)号棟)、価格3630万円、4LDK、土地面積125.02m2、建物面積100.19m2
Location
|