New Homes » Kanto » Tokyo » Adachi-ku
 
| | Adachi-ku, Tokyo 東京都足立区 |
| Tobu Isesaki Line "Takenotsuka" 15 minutes flower garden 3-chome, walk 4 minutes by bus 東武伊勢崎線「竹ノ塚」バス15分花畑3丁目歩4分 |
| Takenotsuka Station bus 15 minutes "Flower garden 3-chome" bus stop 4 minute walk super ・ park ・ Such as schools is livable environment in the family at close. 竹ノ塚駅バス15分 「花畑3丁目」バス停徒歩4分スーパー・公園・学校などが至近でファミリーで暮らしやすい環境です。 |
| All 10 buildings popular 4LDK type ・ Living More of the Japanese-style, A quiet residential area that can relax leisurely 全10棟人気の4LDKタイプ・リビング続きの和室は、のんびりくつろげます閑静な住宅街 |
Features pickup 特徴ピックアップ | | Design house performance with evaluation / System kitchen / Bathroom Dryer / Siemens south road / LDK15 tatami mats or more / Or more before road 6m / Corner lot / Japanese-style room / Shaping land / Face-to-face kitchen / Toilet 2 places / 2-story / Underfloor Storage / The window in the bathroom / City gas 設計住宅性能評価付 /システムキッチン /浴室乾燥機 /南側道路面す /LDK15畳以上 /前道6m以上 /角地 /和室 /整形地 /対面式キッチン /トイレ2ヶ所 /2階建 /床下収納 /浴室に窓 /都市ガス | Price 価格 | | 28.8 million yen ~ 35,800,000 yen 2880万円 ~ 3580万円 | Floor plan 間取り | | 3LDK ・ 4LDK 3LDK・4LDK | Units sold 販売戸数 | | 10 units 10戸 | Total units 総戸数 | | 10 units 10戸 | Land area 土地面積 | | 85.06 sq m ~ 104.21 sq m 85.06m2 ~ 104.21m2 | Building area 建物面積 | | 79.69 sq m ~ 90.36 sq m 79.69m2 ~ 90.36m2 | Driveway burden-road 私道負担・道路 | | West 12m North 6m 西側12m 北側6m | Completion date 完成時期(築年月) | | February 2014 late schedule 2014年2月下旬予定 | Address 住所 | | Adachi-ku, Tokyo flower garden 3 東京都足立区花畑3 | Traffic 交通 | | Tobu Isesaki Line "Takenotsuka" 15 minutes flower garden 3-chome, walk 4 minutes by bus Tsukuba Express "six-cho" walk 32 minutes 東武伊勢崎線「竹ノ塚」バス15分花畑3丁目歩4分 つくばエクスプレス「六町」歩32分
| Related links 関連リンク | | [Related Sites of this company] 【この会社の関連サイト】 | Contact お問い合せ先 | | TEL: 0800-602-4422 [Toll free] mobile phone ・ Also available from PHS Caller ID is not notified Please contact the "saw SUUMO (Sumo)" If it does not lead, If the real estate company TEL:0800-602-4422【通話料無料】携帯電話・PHSからもご利用いただけます 発信者番号は通知されません 「SUUMO(スーモ)を見た」と問い合わせください つながらない方、不動産会社の方は
| Most price range 最多価格帯 | | 28 million yen ・ 30 million yen ・ 35 million yen (each 2 units) 2800万円台・3000万円台・3500万円台(各2戸) | Building coverage, floor area ratio 建ぺい率・容積率 | | Kenpei rate: 60%, Volume ratio: 200% 建ペい率:60%、容積率:200% | Time residents 入居時期 | | 2014 end of February schedule 2014年2月末予定 | Land of the right form 土地の権利形態 | | Ownership 所有権 | Structure and method of construction 構造・工法 | | Wooden 2-story 木造2階建 | Use district 用途地域 | | One dwelling 1種住居 | Land category 地目 | | Residential land 宅地 | Other limitations その他制限事項 | | Regulations have by the Landscape Act 景観法による規制有 | Overview and notices その他概要・特記事項 | | Building confirmation number: HPA-13-06219-1 In addition to 建築確認番号:HPA-13-06219-1 ほか | Company profile 会社概要 | | <Mediation> Governor of Tokyo (1) Article 091 879 Issue new Nissho Ju販 Co. Yubinbango123-0863 Adachi-ku, Tokyo Yazaike 1-2-7 <仲介>東京都知事(1)第091879号新日商住販(株)〒123-0863 東京都足立区谷在家1-2-7 |
Rendering (appearance)完成予想図(外観)  Rendering
完成予想図
Same specifications photos (living)同仕様写真(リビング)  Same specifications
同仕様
Same specifications photo (kitchen)同仕様写真(キッチン)  Same specifications
同仕様
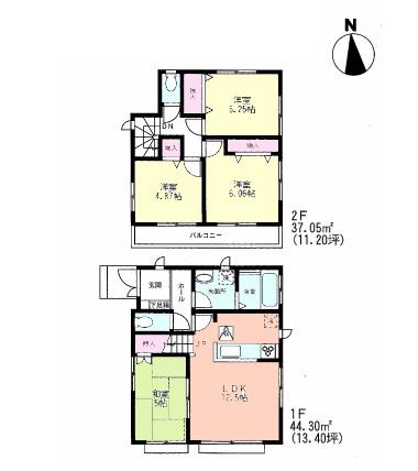
Floor plan間取り図  (A), Price 35,800,000 yen, 4LDK, Land area 85.06 sq m , Building area 89.84 sq m
(A)、価格3580万円、4LDK、土地面積85.06m2、建物面積89.84m2
Same specifications photo (bathroom)同仕様写真(浴室)  Same specifications
同仕様
Local photos, including front road前面道路含む現地写真  Local (11 May 2013) Shooting
現地(2013年11月)撮影
Station駅  Takenotsuka 2600m bus ride 15 minutes to the Train Station
竹ノ塚駅まで2600m バス乗車15分
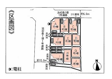
The entire compartment Figure全体区画図  All 10 buildings Northwest corner lot
全10棟 北西角地
Floor plan間取り図  (B), Price 32,800,000 yen, 4LDK, Land area 85.09 sq m , Building area 90.36 sq m
(B)、価格3280万円、4LDK、土地面積85.09m2、建物面積90.36m2
Local photos, including front road前面道路含む現地写真  Local (11 May 2013) Shooting
現地(2013年11月)撮影
Junior high school中学校  291m to Adachi Ward flower garden junior high school
足立区立花畑中学校まで291m
Floor plan間取り図  (C), Price 30,800,000 yen, 4LDK, Land area 85.11 sq m , Building area 88.91 sq m
(C)、価格3080万円、4LDK、土地面積85.11m2、建物面積88.91m2
Primary school小学校  489m to Adachi Ward flower garden first elementary school
足立区立花畑第一小学校まで489m
Floor plan間取り図  (D), Price 28.8 million yen, 4LDK, Land area 94.36 sq m , Building area 79.69 sq m
(D)、価格2880万円、4LDK、土地面積94.36m2、建物面積79.69m2
 (E), Price 30,800,000 yen, 4LDK, Land area 90.9 sq m , Building area 83.83 sq m
(E)、価格3080万円、4LDK、土地面積90.9m2、建物面積83.83m2
 (F), Price 35,800,000 yen, 4LDK, Land area 86.4 sq m , Building area 84.66 sq m
(F)、価格3580万円、4LDK、土地面積86.4m2、建物面積84.66m2
 (G), Price 29,800,000 yen, 4LDK, Land area 104.21 sq m , Building area 81.35 sq m
(G)、価格2980万円、4LDK、土地面積104.21m2、建物面積81.35m2
 (H), Price 31,800,000 yen, 4LDK, Land area 99.09 sq m , Building area 88.81 sq m
(H)、価格3180万円、4LDK、土地面積99.09m2、建物面積88.81m2
 (I), Price 34,800,000 yen, 4LDK, Land area 85.62 sq m , Building area 90.05 sq m
(I)、価格3480万円、4LDK、土地面積85.62m2、建物面積90.05m2
 (J), Price 28.8 million yen, 3LDK, Land area 103.57 sq m , Building area 80.11 sq m
(J)、価格2880万円、3LDK、土地面積103.57m2、建物面積80.11m2
Location
|