New Homes » Kanto » Tokyo » Fuchu
 
| | Fuchu, Tokyo 東京都府中市 |
| JR Chuo Line "Kokubunji" walk 22 minutes JR中央線「国分寺」歩22分 |
| GT Fuchushin-cho 1-chome All 12 development subdivision of compartment! All sections shaping land! Other compartment order house! Sumo monopoly debut! We have an inquiry rush! GT府中新町1丁目 全12区画の開発分譲地!全区画整形地!他区画オーダー住宅!スーモ独占初公開!お問合せ殺到しております! |
| Superlative building guaranteed by the reputation of GT Town has all the buildings (collapse prevention of structural framework) 1.25 times the seismic grade of the Building Standards Law 2 10 years by a secure third party guarantee (up to 20-year warranty) ground . We have to clear the technical standards of the flat 35S. Building construction cases is not please experience the GT quality in your local GT model house. (National Model, Fuchu model, Hino models, Hachioji model) is a complete reservation system. (On the day possible) reservation or document request is thank you to the toll-free 0120-215-515. 7 days a week, It is open until night 9:00 最上級で定評なGTタウンは全ての建物が建築基準法の1.25倍の耐震等級(構造躯体の倒壊防止)2で建物保証は安心な第三者機関による10年保証(最長20年保証)地盤調査後土地の10年保証付きです。フラット35Sの技術基準をクリアしております。建物施工例はお近くのGTモデルハウスでGTクオリティーを体感下さいませ。(国立モデル、府中モデル、日野モデル、八王子モデル)完全予約制です。(当日可)ご予約又は資料請求はフリーダイヤル0120-215-515までお願いします。年中無休、夜9:00まで営業してます |
Features pickup 特徴ピックアップ | | Pre-ground survey / Vibration Control ・ Seismic isolation ・ Earthquake resistant / Seismic fit / 2 along the line more accessible / Super close / Facing south / Yang per good / All room storage / Flat to the station / Siemens south road / A quiet residential area / Around traffic fewer / Or more before road 6m / Corner lot / Shaping land / Washbasin with shower / Face-to-face kitchen / 3 face lighting / Toilet 2 places / Bathroom 1 tsubo or more / 2-story / South balcony / Warm water washing toilet seat / loft / Nantei / Leafy residential area / Mu front building / Dish washing dryer / Or more ceiling height 2.5m / City gas / A large gap between the neighboring house / Flat terrain / Development subdivision in 地盤調査済 /制震・免震・耐震 /耐震適合 /2沿線以上利用可 /スーパーが近い /南向き /陽当り良好 /全居室収納 /駅まで平坦 /南側道路面す /閑静な住宅地 /周辺交通量少なめ /前道6m以上 /角地 /整形地 /シャワー付洗面台 /対面式キッチン /3面採光 /トイレ2ヶ所 /浴室1坪以上 /2階建 /南面バルコニー /温水洗浄便座 /ロフト /南庭 /緑豊かな住宅地 /前面棟無 /食器洗乾燥機 /天井高2.5m以上 /都市ガス /隣家との間隔が大きい /平坦地 /開発分譲地内 | Property name 物件名 | | GT Fuchushin cho IV Development sale all 12 compartments GT府中新町IV 開発分譲全12区画 | Price 価格 | | 43,800,000 yen 4380万円 | Floor plan 間取り | | 4LDK 4LDK | Units sold 販売戸数 | | 1 units 1戸 | Land area 土地面積 | | 110.03 sq m 110.03m2 | Building area 建物面積 | | 87.86 sq m 87.86m2 | Driveway burden-road 私道負担・道路 | | Nothing, South 6m width 無、南6m幅 | Completion date 完成時期(築年月) | | December 2013 2013年12月 | Address 住所 | | Fuchu, Tokyo Shinmachi 1 東京都府中市新町1 | Traffic 交通 | | JR Chuo Line "Kokubunji" walk 22 minutes Keio Line "Fuchu" walk 22 minutes JR Musashino Line "Kitafuchu" walk 25 minutes JR中央線「国分寺」歩22分 京王線「府中」歩22分 JR武蔵野線「北府中」歩25分
| Related links 関連リンク | | [Related Sites of this company] 【この会社の関連サイト】 | Person in charge 担当者より | | Person in charge of Forest housing 担当者フォレストハウジング | Contact お問い合せ先 | | TEL: 0120-215515 [Toll free] Please contact the "saw SUUMO (Sumo)" TEL:0120-215515【通話料無料】「SUUMO(スーモ)を見た」と問い合わせください | Expenses 諸費用 | | Residential land outside the facility contribution: 420,000 yen / Bulk 宅地外施設負担金:42万円/一括 | Building coverage, floor area ratio 建ぺい率・容積率 | | 40% ・ 80% 40%・80% | Time residents 入居時期 | | January 2014 2014年1月 | Land of the right form 土地の権利形態 | | Ownership 所有権 | Structure and method of construction 構造・工法 | | Wooden 2-story (framing method) 木造2階建(軸組工法) | Use district 用途地域 | | One low-rise 1種低層 | Other limitations その他制限事項 | | Regulations have by the Landscape Act, Height district 景観法による規制有、高度地区 | Overview and notices その他概要・特記事項 | | Contact: Forest housing, Facilities: Public Water Supply, This sewage, City gas, Building confirmation number: ks113-3610-00068 担当者:フォレストハウジング、設備:公営水道、本下水、都市ガス、建築確認番号:ks113-3610-00068 | Company profile 会社概要 | | <Employer ・ Marketing alliance (mediated)> Governor of Tokyo (1) No. 092282 (Ltd.) Forest housing Yubinbango186-0004 Tokyo National City in 1-10-8 Noah National Building 3 Kaihigashishitsu <事業主・販売提携(媒介)>東京都知事(1)第092282号(株)フォレストハウジング〒186-0004 東京都国立市中1-10-8 ノア国立ビル3階東室 |
Model house photoモデルハウス写真  It will be like home, such as has been the light up.
まるでライトアップをされた様な我が家になります。
Same specifications photos (appearance)同仕様写真(外観)  Erisugura was Hiroshi tree makes an air of additional atmosphere.
選りすぐられた洋木がさらなる雰囲気を漂わせます。
Kitchenキッチン  Functionality and modern kitchen
機能性且つモダンなキッチン
Same specifications photos (living)同仕様写真(リビング)  We devised to show brighter further room to better land of sun per.
陽当たりの良い土地にさらに室内を明るく見せる工夫を施しています。
Bathroom浴室  Example of construction
施工例
Kitchenキッチン  Example of construction
施工例
Non-living roomリビング以外の居室  Example of construction
施工例
Entrance玄関  Example of construction
施工例
Wash basin, toilet洗面台・洗面所  Example of construction
施工例
Receipt収納  Example of construction
施工例
Toiletトイレ  Example of construction
施工例
Balconyバルコニー  Example of construction
施工例
Supermarketスーパー  307m to Super Value Fuchushin the town shop
スーパーバリュー府中新町店まで307m
Other introspectionその他内観  Example of construction
施工例
Model house photoモデルハウス写真  Model house
モデルハウス
Otherその他  It is also excellent brightness of the daytime not wearing the indoor electric.
室内電気をつけなくても昼間の明るさは抜群です。
Livingリビング  Example of construction
施工例
Non-living roomリビング以外の居室  Example of construction
施工例
Convenience storeコンビニ  477m to Seven-Eleven Fuchushin-cho 2-chome
セブンイレブン府中新町2丁目店まで477m
Other introspectionその他内観  Example of construction
施工例
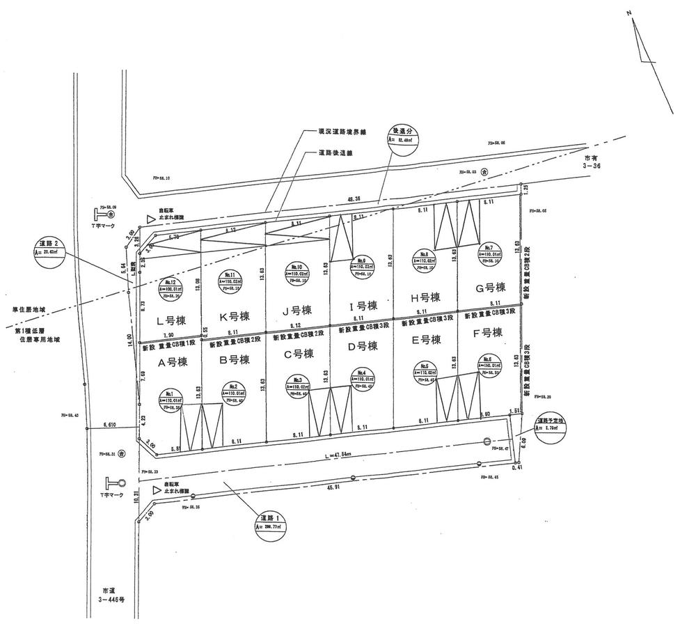
Otherその他  Compartment figure
区画図
Drug storeドラッグストア  489m to San drag Fuchushin the town shop
サンドラッグ府中新町店まで489m
Home centerホームセンター  Keiyo Deitsu 759m to Fuchu Sakaemachi shop
ケーヨーデイツー府中栄町店まで759m
Junior high school中学校  618m to Fuchu Municipal Fuchu fifth junior high school
府中市立府中第五中学校まで618m
Primary school小学校  374m to Fuchu Municipal Shinmachi Elementary School
府中市立新町小学校まで374m
Park公園  Until Heiwanomorikoen 1714m
平和の森公園まで1714m
Location
|